Cost: $0-100
About These Ratings
Difficulty: Intermediate; some special skills needed. Danger 2: (Minor injury possible) Utility:

------------------------

A Gauge to Measure Tiny Changes in Gas Pressure; Growth Substances in Plants

---------------------

by C. L. Stong
August, 1967

---------------------

SEVERAL INTERESTING EXPERIMENTS IN meteorology, biology and low-speed aerodynamics require the measurement of small variations in the pressure of gases. For example, wind speed is routinely measured by an anemometer that consists of a sensitive pressure gauge connected to a slender tube, the open end of which faces into the airstream. Pressure inside the tube varies with the velocity of the airstream and is displayed in units of velocity on the dial of the gauge.


Figure 1: Views of the micromanometer developed at the University of Michigan

Practical forms of the instrument, such as the airspeed indicators of airplanes, also include provisions for balancing out the effects of normal atmospheric pressure. At airspeeds of a few miles per hour the change of pressure inside the open-end tube amounts to less than .001 ounce. Accurate gauges capable of measuring pressures of this magnitude have been based on several principles, but most of the devices are priced beyond the amateur's reach and include precisely machined parts that cannot readily be made at home.

An exception is a gauge developed recently in the Department of Engineering Mechanics at the University of Michigan. The device is a micromanometer consisting essentially of a relatively large reservoir of fluid, connected through a flexible hose to a glass tube that is inclined at an angle of about five degrees from the horizontal, and a dial indicator for measuring vertical displacements of the inclined tube. Differences in gas pressure exerted on the surfaces of the fluid in the reservoir and the inclined tube change the level at which fluid stands in the tube. The altered level can be restored to its normal position by raising or lowering the tube. The pressure of the gas is then calculated by taking into account the density of the fluid and the displacement of the inclined tube as measured by the dial indicator. When water is used as the working fluid, the instrument is capable of measuring a change of gas pressure of .00015 pound per square inch to an accuracy of approximately 1 percent. Details of the construction are described by Walter R. Debler, associate professor of engineering mechanics at the University of Michigan, who writes:

"Our micromanometer was designed primarily for use in wind-tunnel tests, although it should work as well in any application that involves gas pressures ranging from about one pound to a small fraction of a pound per square inch. When it is equipped with a dial indicator of two-inch working range, the instrument is capable of measuring pressure heads of two inches in increments of .001 inch. With mercury as the working fluid a two-inch head of pressure is equal to .98 pound per square inch. With water as the working fluid the maximum and minimum measurable pressures are .07 pound and .00004 pound per square inch.

"The instrument [see Figure 1] was assembled from inexpensive and commercially available materials. It is rugged and portable. It is six inches wide, six inches deep and nine inches high.

"A 250-milliliter aspirator bottle serves as the reservoir. The hose connection at the bottom of the bottle is coupled by flexible tubing to a four-inch length of eight-millimeter glass tubing that is supported at a grade of 10 to one by a five-inch length of square aluminum tubing. The bottle is fastened to the base with an apparatus clamp.

"The inclined tube is transported vertically by a structure consisting of two lengths of square aluminum tubing equipped with a nylon sleeve bearing that slides on a half-inch steel rod. The assembly is moved up or down by a screw that engages a threaded plug free to slide inside the lower of the two square aluminum tubes. The threaded screw passes through slots in the upper and lower surfaces of the square tube and therefore has the same freedom of movement as the threaded plug. This feature of the design prevents the assembly from binding if the screw and the steel rod are misaligned during assembly.


Figure 2: Inclined-tube subassembly of the micromanometer

"The brass screw is of the prethreaded type that can be bought in most hardware stores. It functions merely to raise and lower the inclined tube assembly. The position of the assembly is measured by the dial indicator. Hence there is no need for the costly device known as a lead screw.

"The ends of the screw were machined to a diameter of a quarter-inch to fit nylon bushings in the base and in a bracket at the top of the instrument. This operation was performed on an engine lathe, but it could have been done with a hand drill and a file. A fiducial, or reference, mark was made at the center of the inclined tube by chucking the glass in a lathe and holding a file lightly against the tube. The resulting scratch was filled with India ink. A satisfactory mark could also be made by winding a fine wire around the tube.

"The dial indicator is supported by a vertical column of square aluminum tubing; the column is attached by screws or rivets to the base and to the upper cross members. The plunger of the dial indicator bears against the upper surface of the inclined tube assembly. The dial indicator of our instrument, which is graduated intervals of .001 inch, can measure a maximum length of two inches. It was bought from a mail-order house for about $28. Similar dial indicators with a maximum capacity of one inch and half an inch are currently priced at $15 and $12 respectively. The maximum range of the dial indicator and the density of the working fluid establish the maximum gas pressure that can be measured with the micromanometer. A column of mercury one inch high exerts a pressure of .49 pound per square inch and a one-inch column of water .036 pound.

"The instrument is fitted with two gas connections, one leading to the reservoir and the other to the inclined tube. The inclined-tube connection is made through a flexible tube that leads to a fixed nipple at the top of the supporting structure. Pressures higher than normal atmospheric pressure are measured by connecting the source to the reservoir and leaving the inclined-tube connection open to the atmosphere. When measuring differences in pressure, the high-pressure source is connected to the reservoir and the low-pressure source to the inclined tube.


Figure 3: Edward Pinto's chromatograph

"The apparatus rests on three legs. One is a fixed leg near the edge of the base on the bottom. The other legs are adjusting screws located at the corners of the opposite edge. The screws turn in T-shaped metal fittings that are nailed to a small wooden block. The fittings are available in hardware stores. The base assembly also includes a circular bubble level.

"The instrument is put in operation by leveling the base, moving the inclined tube assembly to the position at which the plunger of the dial indicator is fully extended, filling the reservoir until the meniscus, or upper surface, of the working fluid in the inclined tube is centered on the fiducial mark and rotating the dial of the indicator to zero. Gas pressure admitted to the instrument will shift the position of the meniscus in the inclined tube by a distance 10 times greater than the difference in the level at which fluid stands in the reservoir and the inclined tube. The inclined tube is next raised or lowered to center the shifted meniscus on the fiducial mark. The vertical displacement is then read on the dial of the indicator to the nearest .001 inch. Finally, the unknown gas pressure is calculated, in pounds per square inch, by multiplying the weight of one cubic inch of the working fluid by the dial reading. The density of most common fluids is listed in standard reference texts."

The power of the gibberellins to accelerate the growth of plants continues to fascinate amateur botanists. One of the substances is gibberellic acid, also known as GA-3. It is a natural product of an Asian fungus that destroys rice. Even though it has become commercially available in recent years from dealers in biological supplies, most amateurs now prefer to extract their own supply from such common plants as the cucumber, cantaloupe, corn and beans, all of which are plants that develop growth promoting substances that are either identical with or closely related to the gibberellins. During the past two years Edward Pinto of Ridgefield, N.J., a student at St. Peter's Preparatory School in Jersey City, has worked out an inexpensive procedure for extracting the substances and observing their influence on the cellular structure and density of plant pigments in beans. Pinto describes the procedure as follows:

"My experiments were undertaken in an effort to find a simpler procedure than the one described previously in 'The Amateur Scientist' [SCIENTIFIC AMERICAN; August, 1964] for extracting gibberellin-like substances from common plants; to study the effects of the substances on plant growth at the cellular level, and to equate the substances with the gibberellins. As sources of materials I used the seeds of fresh cantaloupe and fresh wild cucumber and the dry seeds of corn, peas and three species of bean- pencil rod, lupine and pinto.


Figure 4: Sections of beans: normal (left), treated with GA-3 (center), treated with bean extract (right)

"The procedures used in my final experiments begin with the extraction of the growth-promoting substances. First, all seeds are dried at room temperature and chopped into particles about three millimeters in diameter. Two hundred grams of each specimen are soaked (at a temperature of 4 degrees centigrade) for seven days in 110 milliliters of a solution that consists of 10 parts (by volume) of acetone, five parts of isopropyl alcohol, two parts of ethyl alcohol and five parts of distilled water. The extract is poured off and the particles that remain are rinsed with 40 milliliters of a solution consisting of equal parts of acetone and isopropyl alcohol. The rinsing solution is added to the extract and heated, in a double boiler on a hot plate, to a temperature of 45 degrees C. (Warning: The solution is highly flammable and must not be exposed to an open flame.) The heating is continued until the residue evaporates to the consistency of thin tar and is almost dry.

"The residue is next mixed with 100 milliliters each of water and ethyl acetate. The pH of the solution is brought to 8 (slightly alkaline) by the addition of potassium hydroxide; at this pH the gibberellins are soluble in water. After the mixture has been shaken for two minutes the water is drawn off and mixed with another 100 milliliters of ethyl acetate. This procedure is carried out a total of three times.

"Now the water is made acidic (pH 3) by the addition of hydrochloric acid; at this pH the gibberellins are soluble in ethyl acetate. The solution of acidic water is added to 100 milliliters of ethyl acetate. The water is drawn off and the procedure is repeated twice more, after which the ethyl acetate solution is dried to a paste. Half of the tarlike mass is mixed with four grams of lanolin. The remaining half is dissolved in 30 milliliters of acetone and stored in a stoppered flask. The lanolin mixture is applied to test plants, the solution is stored for subsequent analysis by chromatography.

"I learned from the literature that the pinto bean is exceptionally sensitive to the gibberellins and accordingly I chose this plant for the tests. I bought the beans in a grocery and planted them in 20 labeled pans containing sterilized topsoil. They were grown in a corner of our basement under artificial sunlight supplied by a bank of special fluorescent lamps designed for strong emission in the deep red portion of the spectrum.

"According to the literature the gibberellins inhibit root growth in young plants. For this reason the beans were allowed to grow normally for two weeks. During this time each plant developed two mature leaves.

"Ten plants were then selected from each pan for treatment. The upper surface of each mature leaf was coated lightly with the lanolin paste. The paste was applied with a fingertip, care being taken to avoid damaging the plant. The procedure was repeated for each kind of extract, including a specimen of commercial GA-3 gibberellic acid, although not all experiments were made simultaneously.

"Following treatment, a daily record was made of the growth of each plant for three weeks. The measurements included leaf area and stem length. Leaf color was estimated visually and recorded.

"The growth of all treated plants either equaled or exceeded that of the controls. Plants that were treated with extracts of pencil-rod beans grew approximately 50 percent larger than the controls, with lupine-bean extract 55 percent and with wild cucumber extract 75 percent. The growth with wild cucumber extract matched the growth of plants treated with commercial GA-3. In most cases treated plants that were smaller on the average than the controls at the beginning of the experiment exceeded the control plants in size at the end.

"In general the color of the treated plants was lighter than that of the controls, indicating a lower density of pigment. Leaf specimens of both treated and control plants were analyzed for pigment concentration by chromatography, a simple procedure in which substances are separated according to the rate at which they migrate on an adsorbing medium such as filter paper. To make the analysis the pigments must be extracted from the leaves of interest in the form of a suspension in a fluid.

"Two grams of specimen leaves are chopped into pieces approximately four millimeters in diameter and placed in 30 milliliters of a solution consisting of equal parts by volume of acetone, ether and isopropyl alcohol. The mixture is boiled by immersing the container in water heated to approximately 95 degrees C. by an electric hot plate. The solution is highly flammable and must not be exposed to an open flame. Boiling is continued until the leaf particles are fully bleached, which usually takes about 30 minutes. The solvent will then have been reduced to approximately half of the initial volume. It is cooled to room temperature and stored for analysis.


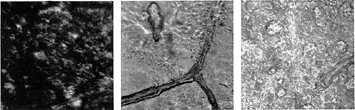
Figure 5: Stem cells of pinto bean: normal (left), treated with GA-3 (center), treated with bean extract (right)

"The chromatographic column consists of a strip of Whatman No. 1 filter paper about two centimeters wide and 24 centimeters long. The paper is suspended in a test tube 38 millimeters in diameter and 300 millimeters long and is supported by a wire hook from the center of a rubber stopper. Leaf extract is applied to a spot in the center of the paper about two centimeters from the bottom edge at a rate of one drop at a time until 20 drops have been applied to the same spot. Each drop is allowed to dry before the next is applied.

"A solvent consisting of 95 parts of petroleum ether (by volume) to five parts of acetone is now placed in the test tube to a depth of 15 millimeters. The paper strip is placed in the test tube so that the lower edge dips into the solvent. Make sure that the spot does not touch the solution. Solvent flows up the strip by capillary attraction and carries the plant pigments along, each' kind of pigment moving at a characteristic rate. By the time the migrating front of the fluid reaches the top of the paper the several pigments have separated and appear as an array of colored bands spaced at intervals along the strip. The carotenes and xanthophylls are yellow, beta-chlorophyll is yellow-green and alpha-chlorophyll is blue-green. From top to bottom the order of the pigments on the strip is carotene, xanthophyll, beta-chlorophyll and alpha-chlorophyll.

"The chromatograms of all plants, treated and untreated, displayed traces of all pigments in varying amounts. The concentration of carotenes remained substantially constant. The chlorophylls usually varied inversely with growth rate. This result was not surprising, because leaves that exhibited the most growth appeared lightest in color.

"The explanation of the inverse relation between leaf color and growth rate became more apparent when portions of the leaves were examined under the microscope. Under sufficient magnification clear spaces could be seen between the chloroplasts of treated plants. The chloroplasts are the oval bodies outside the nucleus that contain the chlorophylls. Photomicrographs made at a magnification of 750 diameters show a striking difference in density between treated and control plants [see Figure 4].

"Even more striking is the effect of the extracts on the shape of cells in the leaf stems and the stalks of the plants. Normally these cells are more or less rectangular. Those treated with gibberellic acid and similar substances, however, are elongated as much as 10 or more diameters [Figure 5].

"Temporary microscope slides of plant sections are easy to-prepare. In the case of stalks and leaf stems a thin sliver is cut from the growth with a razor blade. The specimen is then removed by similarly cutting a thin slice from the exposed interior. The resulting sliver is placed flat on a clean microscope slide, surrounded with a thin ring of petroleum jelly and enclosed with a cover glass that adheres to the petroleum jelly. Photomicrographs were made by placing the front surface of the 135-millimeter, f/4.5 lens of a Speed Graphic camera at the eye position of the microscope and exposing Polaroid film (Type 55 P/N) at full aperture for half a second. The substage of the microscope was lighted by a 12-volt bulb of the type used in automobile spotlights. The total magnification of the reproduced images is approximately 3,500 diameters.

"As the final portion of the experiment I subjected the seed extracts that were prepared in the form of fluids to chromatographic analysis to learn if their behavior on the chromatographic column resembled the known characteristics of the gibberellins. A spot of each extract was placed on the lower portion of the filter paper, as in the analysis of leaf pigments. The bottom edge of the paper was then dipped into a solvent, in the test tube, consisting of 25 parts (by volume) of tert-amyl alcohol, 25 parts of n-butyl alcohol, 25 parts of acetone, 10 parts of concentrated ammonia solution and 15 parts of distilled water. The solvent was allowed to act for three hours.

"When the paper is removed from the test tube, it appears uniformly white. The bands of adsorbed growth-accelerating substances must be developed by spraying the paper strip with a solution consisting of one part of potassium permanganate to 200 parts of distilled water (by weight). After reacting chemically with the potassium permanganate the adsorbed substances emerge as an array of brown bands.

"Each substance migrates up the paper at a unique rate that bears a constant ratio to the rate at which the solvent migrates. The ratio is known as the 'Rf' value of the substance and is calculated by dividing the distance between the starting point of the specimen and the final position reached by the solvent by the distance between the initial and the final position of the specimen. The Rf values of a number of gibberellins have been determined. These include GA-2 (.65), GA-3 (.40), GA-4 (.57), GA-5 (.49), GA-6 (.42), GA-7 (.57) and GA-8 (.25). The Rf values that I measured for the extract of pinto beans were .1O, .25, .35, .4O, .5O, .56, .65 and .77. These results suggest that GA-2, GA-3, GA-4, GA-5, GA-7 and GA-8, or closely similar substances, may be present in the extract of pinto beans. The higher and lower values may possibly be explained by the breakdown products of gibberellins or by unknown gibberellins.

"Many of the treated plants eventually wilted, possibly because the rate of food production of the plant did not match the accelerated growth rate. This guess gains some support from the fact that wilting was observed only among plants that grew fastest. Another conclusion that can be drawn from the experiments is that gibberellins can be found in most plants and constitute a widespread group of growth-promoting substances."

 

Bibliography

GIBBERELLINS. Robert F. Gould, editor. Advances in Chemistry Series No. 28, American Chemical Society, 1961.

 

Suppliers and Organizations

The Society for Amateur Scientists (SAS) is a nonprofit research and educational organization dedicated to helping people enrich their lives by following their passion to take part in scientific adventures of all kinds.

The Society for Amateur Scientists
5600 Post Road, #114-341
East Greenwich, RI 02818
Phone: 1-401-823-7800

Internet: http://www.sas.org/


Wondering where you can purchase the science supplies needed to perform this Amateur Scientist project? At WARD’S you can find everything you need need for studies in the biological and environmental sciences.

WARD’S Natural Science Est.
P.O. Box 92912
Rochester, NY 14692-9012, USA
Phone: 1-800-962-2660

www.wardsci.com