Cost: $0-100
About These Ratings
Difficulty: Beginner to intermediate Danger 3: (Serious injury possible) Utility:

------------------------

An Apparatus for Studying the Crystallization in Solutions Frozen on a Mercury Surface

---------------------

by C. L. Stong
December, 1962

---------------------

FROZEN WATER IS ACCEPTED SO casually in temperate latitudes that only seven words have been coined in the English language for classifying its myriad forms: ice, snow, sleet, hail, frost, hoarfrost and rime. Eskimos take a livelier interest in the material. They recognize scores of different ices and have some 50 names for snow alone. The ices comprise a large family of materials that owe their physical properties in part to such variables as the composition of the freezing solution, the rate of freezing, subsequent heat treatment, the age of the specimen and the extent to which a particular specimen has been worked, or deformed. The effects of these variables are recorded in the polycrystalline structure of ice and can be observed by anyone who has access to a microscope. Last summer Edson L. Blackman devised an ingenious apparatus with which to investigate the effects of dissolved salts on the crystallization of ice. He did the work as a project for a Junior Research Fellowship under Vincent J. Schaefer at a field station of the Atmospheric Sciences Research Center of the State University of New York. His apparatus, which can be assembled easily at home, enables the experimenter to observe not only the fine structure of ices but also the mechanisms of nucleation, the development of electric charge that accompanies the freezing of water and other relatively neglected but fascinating phenomena.


Figure 1: Apparatus for observing the mechanism of freezing

"The crystallization patterns of ice," writes Blackman, "are greatly affected by the nature of dissolved substances in the water and by the environment. It occurred to me that something approaching an ideal environment would be provided by a clean surface of mercury from which air was excluded. The high surface tension of mercury makes many liquids, including water, spread readily when they are placed on it. Since the molecules of mercury are in continuous random motion, they do not present to the freezing solution any rigid lattice pattern that might influence the growth of ice crystals. And since a surface of mercury offers little frictional resistance to moving particles, the forces of crystallization act unhindered and the molecules of water move into the most natural solid configuration.

"My system consists essentially of a small freezer in which is placed a shallow trough of mercury, supported on a large block of metal that acts as a heat sink to stabilize the temperature of the mercury. The refrigerator is flooded with carbon dioxide to keep atmospheric oxygen from reacting with the mercury and modifying its surface properties.

"Although my experiments were made with a small chest refrigerator designed for cooling soft drinks, a thick wooden box or one assembled from sheets of foam plastic should work as well. Refrigeration and carbon dioxide could be provided simultaneously by a layer of roughly crushed dry ice in the bottom of the box, as shown in the accompanying illustration. I used a four-inch cylinder of copper approximately six inches long for the heat sink. Copper rod of this size and shape is not readily available in all communities, but rectangular copper stock of the type used for bus bars-four inches wide and up to two inches thick-will do; it can be obtained from dealers in heavy electrical power apparatus. The copper block rests on wood or cork feet on the bottom of the refrigerator and supports the trough of mercury. A microscope for observing small crystal formations can also be set on the bottom of the refrigerator, with the substage of the instrument removed so that the legs straddle the heat sink.

"The trough for the mercury can be made of any material to which mercury is relatively inert, such as sheet iron sheet plastic or glass. It need be only a quarter of an inch deep, with enough of a rim to catch spills and films skimmed off the mercury surface. The bottom of the trough should be thin so that heat will be conducted readily between the mercury and heat sink. A film of mineral oil between the bottom of the trough and the metal block will improve heat conduction. The trough is filled to the brim with mercury. A small depression caused by the negative meniscus of the mercury extends around the inner edge at the top of the trough between the walls and the metal. To prevent scum from collecting in this depression when the surface of the mercury is skimmed with a glass or plastic wiper, the meniscus is covered by strips of Scotch tape applied to the edges of the trough so that one side of each strip extends across the space and rests on the surface of the mercury, as shown in the accompanying drawing [Figure 2]. The trough should also be equipped with a thermometer, preferably of the glass rod type, in direct contact with the mercury. The entire assembly must stand on a solid base free of vibration, such as the concrete floor of a basement, because even small ripples set up in the mercury will interfere with the natural growth of crystals.


Figure 2: Details of the mercury trough

"To prepare the assembled apparatus for an experiment, fill the trough with enough mercury so that the metal touches the inner edge of the tape on all sides, charge the box with dry ice broken into lumps roughly the size of pea coal and close the box with a loose-fitting cover. Observe the thermometer every five minutes until the temperature of the mercury drops to-10 degrees centigrade. Finally, skim the layer of surface contamination from the mercury by resting the flat edge of a thin strip of glass or plastic on one end of the trough and drawing it across the surface to the other side. Usually it is necessary to use a pair of wipers; use the first wiper to sweep off the bulk of the surface contamination and follow up immediately with another wiper to complete the job. Avoid breathing directly into the container or making rapid movements that would set up air currents of enough violence to displace the carbon dioxide or warm the chamber.

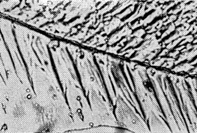
"To make an initial experiment, take up a small quantity of distilled water in a pipette and allow one drop to fall on the center of the mercury from a height of about an eighth of an inch. The drop will immediately spread as a circular film (unless the mercury is not really clean, in which case the water will not spread satisfactorily). The thin film begins to freeze at one or more points, the crystallized areas growing radially until the whole disk is frozen. If the disk is thick, a quantity of water will remain on top and freeze over a few seconds later The layer of ice that forms initially will be clear and will show a distinct grain structure. The second layer will be translucent, with no crystalline features apparent to the unaided eye. Now, ice exposed to a dry gas gradually sublimes as occasional molecules acquire enough thermal energy to break away from the crystal lattice and escape as vapor. The amount of energy required for escape depends on the temperature of the gas, the geometry of the crystals, the structure of the grain boundaries and the presence of impurities in the ice. In effect such sublimation etches the ice selectively and makes the pattern of its polycrystalline structure stand out in sharp relief. The accompanying photomicrograph [below left] shows a specimen of ice made from distilled water after thermal etching has proceeded for about 10 minutes. Herringbone structures and other interesting patterns are sometimes observed along the grain boundaries [see illustration below].


Figure 3: Grain structure of ice

"My experiments were made with solutions of a single mineral salt. According to theory, when such mixtures cool, crystals of either the salt or the ice will begin to form at some temperature.

Their growth during subsequent cooling alters the concentration by removing either salt or water from solution. Ultimately a concentration is reached at which minute crystals of salt and ice form simultaneously and in intimate association, and complete freezing then occurs at one temperature. This is known as the eutectic concentration. If the initial concentration is made equal to the eutectic concentration, the solution should freeze completely as a single substance when the proper temperature is reached. Such mixtures are called cryohydrates. The proportions of the cryohydrates with which I experimented are listed in the accompanying table [below left].

"If the surface of the mercury is exceptionally clean, the smallest droplet of a eutectic copper sulfate solution will often spread over the entire surface of mercury maintained in the temperature range from -19 to -26 degrees C. The film appears iridescent until it freezes. The initial freezing, which occurs promptly, exhibits patterns of crystal growth in the form of fine concentric rings that meet at discrete boundaries, small sections of which appear striated [see below]. Whether the specimen is a thin film or a thick droplet, white spots soon appear and begin to grow through the ice. When they are examined by reflected light, these expanding disks of secondary ice appear to consist of fine crystalline needles that persist in growing radially in spite of variations in the thickness of the primary ice or other irregularities. Their growth stops at the edge of the ice and along the line of intersection where two disks meet. Ice formed during the initial freezing of dilute copper sulfate solution is soft and mushy, but it becomes rigid after this secondary crystallization.

"All grain differentiation seems to take place during the initial freezing. Secondary crystallization appears as an opacity that fills the spaces between n and within the crystal outlines but does


Figure 4: Crystal structure near a grain boundary

not disrupt their order. During an occasional experiment secondary crystallization merely brightens the primary structure. Two growing disks of secondary freezing are shown in one of the accompanying photomicrographs, and a set of disks that resulted from complete freezing is shown in another. Depending on the initial temperature, freezing may occur in as many as three steps. At -19 degrees C., for example, the thin film of crystals formed during rapid initial freezing is quickly overgrown by a few disks of secondary crystallization varying in width from two to five centimeters, which impart a bluish hue to the ice. Then small disks of white ice appear and grow slowly to the edges of the specimen. Specimens applied to mercury at -26 degrees also spread as a thin film that freezes quickly. This ice exhibits faint crystalline patterns and a glossy surface, but no secondary or tertiary freezing occurs.

"Liquid can be forced from the initially frozen copper sulfate solution by dropping a small glass plate over the specimen and applying pressure. No liquid appears, however, when this experiment is made after secondary crystallization. This suggests that the secondary disks are composed of ice formed from the unfrozen portion of the mixture-although the solutions are cryohydrates and according to theory should freeze completely at one temperature.


Figure 5: Eutectic concentrations and temperatures of cryohydrates

"Three-step freezing was also observed in solutions of double eutectic concentration through the temperature range of -19 to -26 degrees. Even the smallest drops usually spread and freeze over the entire mercury surface, but occasionally the film breaks apart and freezes as uniformly spaced islands of ice. During initial freezing, crystal growth often begins in the center and develops as slender radial fibers, which are occasionally scored by fine concentric circles. Usually a heavy white circle of frozen material forms at the center, the fibers looking like the petals of a flower made of lace. In almost every case such formations are separated from their neighbors either by a crack or a ridge of thickened ice

"Second- and third-stage freezing in solutions of double eutectic concentration resemble those of the straight eutectic concentration but differ in detail. Secondary crystallization in a double eutectic concentration usually begins in a few places and spreads rapidly, altering the color to a distinctly bluish hue. Then white disks of tertiary freezing appear and grow through the blue areas at a much slower rate. Two types of tertiary disk were observed: perfectly circular disks marked by fine radial etchings, and coarser disks of irregular outline marked by dendritic, or branching, patterns. The coarser disks grow faster than the finer, circular ones and occasionally engulf some of the finer disks. Tertiary disks of the coarse type are composed of rough, bandlike collections of particles, whereas the finer disks often appear velvety smooth and marked by straight, slender crystals in radial array. Incidentally, the blue disks of secondary crystallization are not always observed. They may be present in all specimens and yet be easily overlooked because of their faintness and the speed with which they grow. The accompanying photomicrograph shows a small area in which primary freezing is complete, the secondary disk formation is well under way and the tertiary stage is beginning with the appearance of an irregular white disk at the top of the micrograph.

"In one series of experiments that I found exceptionally interesting, plastic replicas were used to investigate the freezing mechanisms of double eutectic solutions of copper sulfate. A 2 per cent solution of polyvinyl formal dissolved in ethylene dichloride was stored in the refrigerated compartment and kept between -4 and -12 degrees. The mercury trough was lifted from the freezer for about a minute and exposed to the atmosphere so that a light oxide film formed on the surface. The mercury was then replaced without being skimmed. After the mercury had been cooled, a drop of specimen solution was placed on it. The oxide film prevented the drop from spreading. After the lens-shaped piece of ice had frozen, it was removed from the mercury with a pair of tweezers and allowed to etch thermally for about 10 minutes. The specimen was inverted and the plastic solution was spread on the lower, smooth surface. After the solvent had evaporated from the plastic, the ice could have been melted and the replica floated onto a microscope slide and dried. In this experiment, however, I allowed the ice to sublime, leaving the salt skeleton behind. The accompanying photomicrographs of a plastic replica so prepared show a frozen film of double eutectic copper sulfate. Grains of approximately equal width and length occupy the center of the first photomicrograph and are surrounded by elongated grains. The disklike structures astride the grain boundaries, details of which are evident under higher magnification, have an internal pattern of lineated crystals that appear to have grown from the grain boundaries, as seen in the third photomicrograph.

Initial crystal structure in copper sulfate

Beginning of secondary freezing

The secondary stage complted

Beginning of tertiary stage

Plastic replica of frozen solution

Disk structure in plastic replicas

Crystals of eutectic ammonium chloride

Fully developed disk crystals

Details of salt skeleton in replica

Ice crystals in hydrous tin chloride

"A grain boundary is a transition lattice or assembly of dislocations between adjoining grains. If rapid cooling should cause the salt and ice phases to freeze simultaneously, severe local strain would develop because the highly organized structure of ice cannot easily accommodate other molecules. The strain would be greatest along the grain interfaces and should be relieved first at these interfaces, perhaps as a separation of the ice and salt phases. These disks may result from such recrystallization. The inner, darker portions of the disks may mark the initial precipitation of the salt, the solution being twice eutectic in concentration. If this is indeed so, the bordering lamellar structures could come from the successive precipitation of salt and ice. The crystalline patterns of these areas resemble the disks of secondary and tertiary crystallization observed in thin films. Occasional fan-shaped patterns may indeed spread and develop into full radial patterns even in a lens. This appears to have occurred in a few drops that were frozen on oxidized mercury, as shown by the accompanying photomicrograph.

"Salt solutions other than copper sulfate produce different but equally fascinating structures. Freezing usually proceeds in two or more steps, depending on the nature of the salt. Eutectic ammonium chloride and ammonium nitrate solutions freeze much alike. A single drop of either solution spreads over the entire surface of the mercury and freezes almost instantly into thin areas of branching crystals that often surround an inner star embedded in a ridge of thicker material. A typical star of four points together with the dendritic formation is shown in the accompanying photomicrograph. A 67.5 per cent solution of stannic chloride freezes at -38 degrees. At slightly higher temperatures the firmly bound water molecules slowly crystallize out and float in a solution of hydrous tin chloride, either as angular branching growths or-more commonly-as long, thin needles. Four needles often branch from one point. The accompanying photomicrograph shows a typical ice formation floating in the salt solution after crystallization has been completed. Crystal formations large enough for study by the unaided eye are formed by some solutions. A representative example is barium chloride in eutectic concentration. This solution spreads slowly into a thin film that freezes into petal-like fibers extending from a small central mass surrounded by a heavy ridge. As growth proceeds, concentric bands of light and shade form across the radial structures to complete the symmetry, a development that is truly fascinating to watch.

"I intend to investigate these effects in detail as time allows and also look forward to trying a number of other experiments that came to mind in the course of working with the apparatus. The mercury surface should be ideal for studying the electrical effects that accompany freezing. Everly J. Workman and Stephen E. Reynolds, respectively president and project supervisor of the New Mexico Institute of Mining and Technology, have measured substantial differences in electric potential between a freezing solution and its metal container. Their experiments suggest that dilute salt solutions may reject ions at unequal rates as crystallization proceeds, so that a separation of charge occurs. They report that the effect is observed in solutions of sodium chloride, ammonia gas and carbon as dilute as .0001 normal. Such concentrations are found in hailstones. Workman and Reynolds believe. that the selective rejection of ions during the formation of hailstones may contribute significantly to the development of charge in thunderstorms and may be of geophysical significance in freezing at the earth's poles.

"The mechanical properties of frozen salt solutions could also be the subject. Of an interesting study. It is known that the strength of alloys may vary over a wide range, depending in part on their purity of the metal that acts as the solvent. Lead, for example, is hardened by. adding a small amount of antimony to the melt. Perhaps some advantage could be imparted to ice as a structural material by dissolving in the water one or more salts that would deposit along the cleavage planes on freezing, much as crystals of antimony precipitate out of lead.

"The effect of dissolved gases on the crystallization of ice could also be the subject of an interesting series of experiments. Dissolved oxygen causes copper to freeze in grains of approximately equal width and length. Perhaps other gases similarly dissolved in water would modify the polycrystalline structure of ice. Such experiments would require freezing relatively thick layers of ice, but the mercury pool could still be used to provide a clean surface of low friction and remarkable smoothness."

 

Bibliography

ELECTRICAL PHENOMENA OCCURRING DURING THE FREEZING OF DILUTE AQUEOUS SOLUTIONS AND THEIR POSSIBLE RELATIONSHIP TO THUNDERSTORM ELECTRICITY. E. J. Workman and S. E. Reynolds in The Physical Review, Vol. 78, No. 3, pages 254-259; May, 1950.

EXPERIMENTAL INVESTIGATIONS ON THE ICE FORMING ABILITY OF VARIOUS CHEMICAL SUBSTANCES. Norihiko Eukuta in Journal of Meteorology, Vol. 15, No. 1, pages 17-26; February, 1958.

 

Suppliers and Organizations

The Society for Amateur Scientists (SAS) is a nonprofit research and educational organization dedicated to helping people enrich their lives by following their passion to take part in scientific adventures of all kinds.

The Society for Amateur Scientists
5600 Post Road, #114-341
East Greenwich, RI 02818
Phone: 1-401-823-7800

Internet: http://www.sas.org/